Жизненный цикл жука
Живучесть колорадского жука феноменальна. Он создан, чтобы уничтожать посевы паслёновых без остатка. При отсутствии картофеля, он съест листья баклажанов, перцев. Даже если и их нет, он «перебьется» диким паслёном, табаком, петунией, дерезой. Когда совсем нет пищи, листоед может подождать с размножением, дождавшись лучших условий.
Живет жук 1-3 года. В течение этого времени он постоянно переходит от бодрствования ко сну и наоборот. У него целых 6 видов сна. При неблагоприятных условиях он впадает в спячку, которая может длиться несколько лет.
Жизненный цикл вредителя состоит из нескольких этапов:
- Выход из спячки. После зимнего сна, при температуре воздуха 10°С, просыпаются первые жуки. Как правило, они гибнут. Им просто не хватает пищи. Но на смену просыпаются следующие особи. Это происходит, когда воздух уже прогрелся до 13-15°С.
- Размножение. Самки жука могут впадать в спячку уже оплодотворенными. Проснувшись, они сразу же начинают кладку яиц. Другие, восстановив силы после зимы, приступают к спариванию.
- Откладывание яиц. Самка картофельного жука способна отложить до 5-8 яиц за день. В течение сезона она производит 450-1000 яиц. Они крепятся к обратной стороне листа. Обладают ярко-желтым цветом. По форме напоминают мелкие рисовые зернышки.
- Развитие личинок. Спустя 5-17 суток из яиц появляются личинки. Они проходят 4 стадии развития. Поначалу они всё время поедают картофельные листья. Затем зарываются в землю на глубину 10 см. Там личинки окукливаются.
- Формирование взрослого насекомого. Под землей из куколки развивается взрослый жук. Если грунт к этому времени уже холодный, то взрослые насекомые впадают в состояние покоя. Если до осени еще далеко, то жук выходит из земли и начинает активно поедать ботву картофеля. Отъевшись, насекомое уже через несколько дней готово к размножению.
Отдельно стоит упомянуть стадии развития, или «возрасты» личинок колорадского жука:
- Цвет тельца – буроватый, 1,5–2,4 мм длиной. Личинка паразита может питаться только самыми мягкими и легкоусвояемыми органическими тканями, которые находятся с внутренней стороны листьев.
- Тело уже вырастает до 2,5–4,5 мм в длину, становится ярко-красным. Способна питаться любыми тканями листа, не трогая лишь прожилки;
- Личинка вырастает до 4,6–9 мм, цвет – краснокирпичный;
- Длина – до 1,5 см, цвет – жёлто-красный.
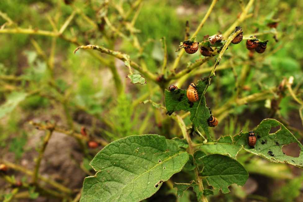
Личинки колорадского жука пожирают лист картофеля
Что представляет собой личинка?

Если вы хоть раз выращивали картошку, то прекрасно знаете, что наибольший вред посадкам наносят не взрослые колорадские жуки, а их прожорливые личинки. Они едят не только картофель, но и все растения семейства пасленовых: томаты, баклажаны, душистый табак, не брезгуют садовой петунией и некоторыми другими растениями.
Как же выглядят личинки знакомого нам колорадского жука? Они совершенно не похожи на взрослых особей. Это насекомое, у которого спинка изогнута полумесяцем, а склизкое и раздутое в центре брюшко приплюснуто. Личинки крупные, больше полутора сантиметров, цвет оранжево-красный.

Когда насекомое становится старше, оно меняет свой цвет на чисто оранжевый с черными точечками, расположенными в два ряда по бокам тельца.
Пока личинка молодая, она ест листья с нижней части растений, но, взрослея, поднимается выше по стеблю и пожирает не только молодые веточки и побеги, но и целиком листья, а потом переходит на те растения, что сидят на грядке рядом.
Сам взрослый колорадский жук не такой противный, как его личинка. Посмотрим на нее крупным планом:
Жизнь картофельного жука проходит следующим образом:
- Осенью оплодотворенная самка уходит на спячку, а весной, как только проснется, занимается кладкой яиц на молодых кустах картофеля.
- Из яиц через две или три недели появятся личинки;
- Личинки пройдут четыре стадии развития, каждая из которых отмечается особым цветом и заканчивается линькой.
- В первой фазе маленькая вылупившаяся личинка серо-желтого цвета и покрыта густыми волосками, ест только самую нежную мякоть молоденьких листочков.
- Во вторую личинка входит, потеряв часть своего волосяного покрова и поменяв цвет на красно-оранжевый, но уже способна есть листья погрубее, выедает их до состояния «скелета», оставляя прожилки.
- Третья стадия – кирпичный окрас, личинка уже вырастает почти с целый сантиметр.
- Четвертая фаза – крупная особь размером от 10 до 15 миллиметров и желто-красного цвета;
- Набравшись сил, личинка уходит под землю, где и окукливается. Там она и перерождается в полноценное насекомое размером до сантиметра или до 12 миллиметров с очень жестким телом.
- Если перерождение происходит перед зимой, то колорад засыпает и появляется на поверхности почвы в теплый период, если летом, то он вылезает наружу и продолжает объедать листву и стебли растений. Инкубационный период личинки продолжается от десяти до 14 дней. Жук способен не только ползать, но и перелетать на большие расстояния.
В этом видео можно увидеть практически весь жизненный цикл:
https://youtube.com/watch?v=1WEZhnhDgWY
Есть другой жук, ложный колорадский, с которым его можно спутать. Он распространен не у нас, на территории России, а в Америке. Некоторое время назад считалось, что такое насекомое не представляет угрозы для посадок картофеля, но исследования показали, что и ему по вкусу все пасленовые растения.
«Командор»/ «Танрек» / «Корадо»/ «Конфиделин» и др. на основе ИМИДАКЛОПРИДА от колорадского жука
![]() ![]() ![]() ![]() ![]() ![]() |
Эта группа препаратов самая распространённая. ИМИДАКЛОПРИД (химический класс – неоникотиноиды) применяется чаще всего для контроля численности колорадского жука и его личинок. Это контактно — кишечный пестицид системного действия.Кроме широко известных препаратов «Командор, ВРК», «Танрек, ВРК», «Корадо, ВРК», используют также препараты «Конфиделин ВРК/ ВДГ», «Зубр, ВРК», «Имидор, КС/ ВР», «Искра Золотая, ВРК/П, Таб», «Конфидор Экстра, ВДГ».Дозировка действующего вещества от 20-70%. Чаще всего применяются 20% концентрация, норма применения 1 мл./ 5 л. воды / 100м2. Максимальная дозировка у препаратов «Командор Макси, ВДГ» и «Конфидор-Макси/Экстра» — 70%.Эти препараты эффективны против комплекса распространенных вредителей, имеют высокую скорость воздействия (100% результат на 3-ий день). Механизм действия имидаклоприда полностью исключает проявление резистентности (привыкания). Действие этих препаратов не зависит от погоды, они работают даже в самую жару. Недостаток – самый высокий класс опасности для пчел.На основе имидаклоприда работают инсектициды для ПРЕДПОСАДОЧНОЙ обработки картофеля – «Престиж, КС», «Табу/Табу-ТРИО», «Клубнещит», «Командор+Энерген» и др.Подробнее о препаратах:«Командор» («Командор, ВРК»/ «Командор Макси, ВДГ»/ «Командор Плюс»)«Конфидор»«Конфиделин»«Искра золотая»«Корадо» («Корадо» и «Корадо-Лайт») |
Народные рецепты
Главное преимущества использования народных рецептов – это абсолютная безопасность для человека и окружающей среды. Но тут нужно понимать, что не всегда обеспечивается гибель насекомых, а скорее их отпугивания с участка.
Согласно отзывов огородников, максимальной эффективностью обладают такие методы:
- Возьмите 100 грамм березового дегтя и разведите 10 литрами воды. Полученный раствор необходимо использоваться в качестве опрыскивателя картофельных посадок.
- Залейте 2 стакана древесной золы посредством одного литра воды и вскипятите на протяжении 13-ти минут. Далее оставьте состав настаиваться на протяжении 47 часов, далее добавьте внутрь раствора 40 грамм жидкого мыла – это позволит лучше прилипать раствору.
- Настои, отвары на основании растений. Средства такого типа предполагают использования главного ингредиента чеснока, полыни, лопушника, одуванчиков, чистотела. Опрыскивание подобным составом нужно проводить каждую недель ранним утром или поздним вечером. Завершение подобной обработки должно осуществляться за несколько недель к сбору урожая.
- Еще один интересный вариант – кукурузная мука, которая попадая в желудок паразита, разбухает и приводит к гибели.
Биологические средства
Колорадских жуков можно с эффективно истребить при помощи применения биологических препаратов, главным преимуществом которых является безопасность для людей, теплокровных животных и природы. Это чистый продукт, которые не содержит пестицидов.
Среди самых популярных средств такого типа можно выделить:
- Фитоверм;
- Битоксибациллин;
- Бикол;
- Агравертин.
Каждое из выше перечисленных средств требует предварительного разведения водой, согласно правилам инструкции, далее проводится опрыскивание посадок. В биопрепарате содержатся бактерии, которые в случае попадания внутрь организма вредителя, превращает их в неподвижных. В результате они не могут питаться и теряют способность к размножению.

Но здесь нужно понимать, что биопрепарат не может влияет на яйца жука, из-за чего требуется выполнение трех или четырех обработок для уничтожения всех личинок, которые вышли из яиц.
Ядохимикаты
Химические препараты, чаще всего, используются в том случае, когда другие варианты не приносят желаемого результата. Некоторые из огородников сразу прибегают к обработке химическим ядом, чтобы сразу уничтожить коварных паразитов. Большой плюс такого метода – высокий уровень результативности. А самый большой минус – вещество ядовито и токсично для людей и окружающей среды.
Среди большого разнообразия инсектицидов, рекомендуем обратить внимание на следующие:
- Моспилан;
- Конфидор;
- Банкол;
- Регент;
- Актара;
- Сонет;
- Корадо.

Химические средства применяют способом опрыскивания, перед обработкой концентрированную суспензию разбавляют водой, согласно прилагаемых инструкций
Очень важно соблюдать указанную дозировку, поскольку повышенная доза только навредит. Также не стоит проводить обработку в жару, так как растение может получить ожог, а испарения химикаты могут привести к гибели живых существ
Агротехнические мероприятия
Не стоит забывать и об эффективности агротехнических мер, которые при должном выполнении, принесут результат не хуже, чем от применения химикатов и биопрепаратов.
Выращивая картофель, придерживайтесь следующих рекомендаций:
- Неукоснительно соблюдайте севооборот;
- Картофельные участки должны располагаться на максимальном расстоянии от культур, которые относятся к семейства Тыквенных и Пасленовых;
- Осенью почву необходимо глубоко перекапывать;
- Ранний сорт следует высаживать как можно раньше, чтобы жучки не успели испортить его;
- При окучивании рядов картофель, нижнюю листу необходимо засыпать землей;
- На протяжении всего лета нужно трижды провести разрыхление междурядья;
- После проведения уборки культур, рекомендуется осуществить уборку растительных остатков.
Цикл развития
Вредитель любит лакомиться картофелем на любой стадии его развития. Как только картофельная ботва появляется из земли, вместе с ним из земли вылазят жучки и сразу же начинают питаться всходами и спариваться. Если самки успели спариться осенью, то уже весной они начинают откладывать яйца на нижней стороне молодых листочков. За один день самка может отложить до 80 светло-оранжевых яиц, из которых при благоприятной температуре за 5-17 дней вылупляются личинки. За лето самка способная отложить до 700 яиц.
У личинок выделяют 4 возраста, разделенными линьками.
- В 1-м возрасте личинки выгрызают нижнюю мякоть листа;
- Во 2-м – выгрызают всю мякоть листа, оставляя толстые прожилки.
Личинок этих возрастов можно видеть колониями на верхушках картофельных побегов. Уже при дальнейшем развитии (3 и 4 возраст) личинки разбредаются, переходят на соседние растения. Интенсивно поедая листву, они через 2-3 недели зарываются в землю на глубину до 10 см для окукливания. Через 2-3 недели образовавшаяся куколка выползает на поверхность., где они продолжают дальнейшее развитие, если только при наступлении осени не впадут в диапаузу до следующей весны.
Зимовать жуки уходят в почву на глубину 30-50 см, где им не страшны никакие способы борьбы с ними.
Колорадский жук: описание
Данный вид насекомых относится к семейству жуков-листоедов. Надкрылья имеют характерную полосатую черно-белую окраску, тело овальное, выпуклое, оранжево-желтого оттенка. Питается в основном растениями из семейства паслёновых. К его «рациону» относятся: картофель, баклажаны, сладкий перец, физалис. Главный урон наносит не сам жук, а его личинки, находящиеся в третьей и четвертой стадии развития.
5 интересных фактов о жуке
Кажется, что мы знаем о нем всё. Но есть несколько интересных фактов об этом вредителе, которые известны не всем:
- Жук был обнаружен еще в 19 веке. Открыл его в 1824 году Томасом Сэйем – американский ученый-натуралист. Он наткнулся на несколько экземпляров насекомых в западной части США.
- Живет жук от 1 до 3 лет. На зимовку он прячется в землю. Глубина его укрытия под грунтом – до 70 см. Это позволяет ему переживать даже самые суровые зимы.
- Одна самка жука откладывает до 1000 яиц за лето. Такая плодовитость значительно усложняет борьбу с вредителем.
- Личинка жука невероятно прожорлива. Она съедает до 10 листьев картофеля за 2-3 недели. Если учесть, что самки откладывают яйца тысячами, то получается весьма печальная статистика.
- Жук может впадать в «спячку». Взрослые особи колорадского жука прячутся в земле при неблагоприятных условиях. Ожидание наступления комфортной «атмосферы» для жизни может длится до 2-3 лет.
Как жуки появились на наших огородах?
В 1859 году жук-листоед полностью уничтожил посевы картофеля в штате Колорадо, США. За это он и получил свое название. Но его родина – не североамериканский штат, а Мексика. Изначально он поедал там посевы табака, перца, баклажанов. Затем, после начала массового культивирования картофеля, он «перешел» на эту культуру.
Путь жука на наши огороды выглядит так:
- Из Мексики он попал на картофельные поля США – Техас, Аризона, Небраска, Колорадо. Далее распространился по всей Северной Америке.
- В конце 1870-х он пересек Атлантический океан. Вместе с грузами был «доставлен» в Европу, в район Лейпцига. Но тогда фермерам удавалось успешно бороться с ним и не допускать массового распространения.
- В 1918 году, когда шла Первая мировая война, он снова был завезен в Европу, мигрировав с американским военным провиантом во Францию. Вредитель появился на полях в окрестностях Бордо. Отсюда и началась его дальнейшая «экспансия» Европы.
- Двигаясь на восток, в 1940 году, он вплотную подошел к границам СССР. Первые очаги были замечены во Львовской области в 1949 году. В начале 1950-х жук уже активно осваивал картофельные плантации Белоруссии и всей территории Западной Украины.
- В 1975 году картофельный листоед был замечен на полях Урала. Он попал туда вместе с соломой для скота, которую завезли из Украины.
Колорадский жук: теория заговора
Существует и конспирологическая гипотеза по поводу появления жука в Европе. Считается, что ЦРУ спровоцировало бедствие намеренно. В одной из польских газет была распространена информация: жука сбросила американская авиация на территорию Польши и ГДР. Но официального доказательства этой теории не последовало.
Меры борьбы
Меры борьбы с колорадским жуком включают в себя карантинные мероприятия и обработку растений при появлении личинок 2-го возраста и в период массового рождения молодых жуков инсектицидами (пестицидами). Однако колорадский жук показывает высокую устойчивость к ядам и быстро вырабатывает к ним иммунитет. Но системные инсектициды не вызывают привыкания у жука и обеспечивают возможность эффективной борьбы с ним в течение долгих лет. На небольших участках жуков и их личинки обычно собирают вручную и истребляют.
Канавки (или желоба) со склонами в 45° и круче становятся ловушкой для более чем половины молодых колорадских жуков, передвигающихся по поверхности.
Поскольку колорадские жуки накапливают в своих телах токсичные алкалоиды соланины, содержащиеся в побегах и листьях паслёновых, они несъедобны для большинства птиц и животных, а потому у них довольно мало природных врагов; кроме того, многие из известных природных врагов колорадского жука не способны сдерживать его численность на безопасном уровне.
Личинками жуков могут питаться: из птиц — фазаны, индюки и цесарки из насекомых — жужелицы и златоглазки. Яйца и молодых личинок жуков могут поедать божьи коровки.
Взрослых жуков поедают сами только , для этого приучают с детства, добавляя понемногу в корм толчёных колорадских жуков или скармливая жуков, закатывая их в горошины вместе с хлебом[неавторитетный источник?].
Природными врагами колорадского жука являются также журчалки и некоторые щитники; наибольшую эффективность показали тахины вида Myiopharus doryphorae (фр.)русск., которые достигают наибольшей численности осенью и поражают последнее в году поколение колорадских жуков; но в Колорадо численность этих насекомых-паразитов может и весной достигать высоких значений, что позволяет сдерживать численность колорадских жуков на допустимом уровне.
Делаются попытки регулировать численность колорадских жуков при помощи насекомых-энтомофагов, в частности с помощью хищных клопов Podisus maculiventris (англ.)русск. и Perillus bioculatus.
В 2010 году в Институте защиты растений Академии наук Республики Молдова была показана эффективность применения экстрактов чемерицы Лобеля против колорадского жука.
Места посадки пасленовых растений колорадские жуки находят при помощи очень развитого чувства обоняния. Если посадить пасленовых вперемешку с сильно пахнущими растениями (например бораго, календула, мелисса, базилик, мята, укроп, кориандр, лук, чеснок, бобы, фасоль), то в этом случае численность жуков может снизиться в 8-9 раз, что в значительной мере отразится на сохранности урожая.
Колорадский жук не переносит запах гниения луковой шелухи, поэтому если при посадке картофеля в лунку положить горсть золы и немного луковой шелухи, то жук не будет появляться на этих кустах до конца цветения картошки, а после этого вреда картофелю не принесёт, так как полное развитие и закладка урожая проходит от начала роста и завершается цветением[неавторитетный источник?].
Для большего эффекта возможно применение нескольких мер борьбы.
| Тип | Вид | Классификация | Атакуемая стадия | Ареал |
|---|---|---|---|---|
| Паразиты и паразитоиды | Chrysomelobia labidomerae | Acari | имаго | США, Мексика |
| Edovum puttleri | Hymenoptera | яйца | Колумбия, Мексика, США | |
| Anaphes flavipes | Hymenoptera | яйца | США | |
| Myiopharus aberrans | Diptera | имаго | США | |
| Myiopharus doryphorae | Diptera | личинки | Канада, США | |
| Meigenia mutabilis | Diptera | личинки | Россия | |
| Megaselia rufipes | Diptera | имаго | Германия | |
| Heterorhabditis bacteriophora | Nematoda | имаго | космополиты | |
| Heterorhabditis heliothidis | Nematoda | имаго | космополиты | |
| Хищники | Lebia grandis | Coleoptera | яйца, личинки | США |
| Hippodamia convergens | Coleoptera | яйца, личинки | США, Мексика | |
| Euthyrhynchus floridanus | Hemiptera | личинки | США | |
| Oplomus dichrous | Hemiptera | яйца, личинки | Мексика | |
| Perillus bioculatus | Hemiptera | имаго, яйца, личинки | Канада, США, Мексика | |
| Podisus maculiventris | Hemiptera | личинки | США | |
| Pselliopus cinctus | Hemiptera | личинки | США | |
| Sinea diadema | Hemiptera | личинки | США | |
| Stiretrus anchorago | Hemiptera | личинки | США, Мексика | |
| Патогены | Bacillus thuringiensis | Bacteria | личинки | США, Канада, Европа |
| Photorhabdus luminescens | Bacteria | имаго, личинки | космополиты | |
| Spiroplasma | Bacteria | имаго, личинки | Северная Америка, Европа | |
| Beauveria bassiana | Ascomycota | имаго, личинки | США |
Общие вопросы борьбы с колорадским жуком

Таким образом, единственно приемлемый способом борьбы с этим насекомым – истребление его при помощи специализированных инсектицидов. Борьба с этим вредителем должна учитывать особенности жизненного цикла жуков, именно так будет достигнута максимальная эффективность от всех средств, которые планируется применить.
Рассмотрим жизненный цикл и особенности развития жука более подробно:
Жуки зимуют на глубинах от 30 до 50 см. Те из них, которые не замёрзли зимой, выходят на поверхность, начинают питаться молодыми побегами (не обязательно паслёновыми) и спариваться. Причём, если самка жука спарилась осенью, то весной, выходя из спячки, она сразу же откладывает яйца.
Жуки выходят из своих зимних укрытий, когда заморозков уже не предвидится. Обычно, это происходит, когда температура воздуха стабилизируется в районе +12-15°С и серьёзных осадков не предвидится. Пик такого исхода приходится на последнюю декаду апреля – первую декаду мая.

Яйца колорадского жука
В течение одного дня самка жука способна отложить несколько десятков яиц; в течение всего срока жизни самки число яиц может достигать около тысячи (по некоторым данным – семисот).
Таким образом, поголовье всего лишь одной самки способно превратиться в очаг распространения жуков регионального масштаба. В северных районах жуки редко переживают одно поколение, однако, на юге (Кубань, Ростовская и Астраханская области, Казахстан, Украина, Молдавия), поколений колорадских жуков может быть два или три, в зависимости от температуры и длительности теплого сезона. Это означает, что фактически профилактические мероприятия по борьбе с жуком должны начинаться уже на этом этапе.
Личинки выходят из яиц уже на 5 день, при неприятных погодных условиях – на 15. Для того, чтобы успешно бороться с вредителями на данном этапе, нужно не допустить появления большого числа личинок и уничтожить максимальное количество насекомых до того, как они отложат яйца.

Случай, когда принятые меры оказались бесполезными или несвоевременными
Личинки будут набирать массу порядка трёх недель, потом они зарываются в землю и превращаются в куколок. Куколки либо успевают превратиться во взрослых насекомых и выйти наружу под конец лета, либо так и зимуют до следующего года, а потом превращаются во взрослые особи следующей весной. Взрослые жуки в поисках новых мест кормления или же мета зимовки способны совершать перелёты до 10 км в день.

Они ещё и летать могут!
Жизненный цикл колорадского жука составляет несколько месяцев, однако, у этих насекомых есть уникальная способность входить в состояние диапаузы – многомесячной спячки, которая может доходить до 3-4 лет. Именно поэтому жуки становятся способны производить потомство сразу в середине весны (из взрослых оплодотворённых перезимовавших самок), и это является причиной невозможности их тотальной ликвидации. Ну, во всяком случае, пока не является…
Современные средства против жуков, созданные химической промышленностью являются достаточно эффективными и состояние вопроса сейчас значительно лучше, чем лет 20-30 назад. Вполне возможно, что вскоре и появится универсальная методика по полному истреблению колорадского жука.
Клематис: описание, классификация сортов, выращивание, посадка и уход в открытом грунте (50 Фото & Видео) +Отзывы
Клоп рододендроновый

Клоп рододендроновый
У рододендронового клопа (клещика) Stephanitis rhododendri глянцевитое черно-коричневое тело и кружевные крылья. Взрослые особи и неполовозрелые (нимфы) кормятся на нижней стороне листьев, которые делаются пятнистыми и закручиваются по краям. Низ листовой пластины бывает покрыт ржаво-коричневыми экскрементами вредителя. Он активно размножается на солнечных участках в сухую погоду.
Поражению подвержены. Рододендроны. Есть разновидности, устойчивые к вредителю. Родственные рододендроновому клопу виды того же рода поражают пиерисы.
Возможный исход. Растения обезображиваются и истощаются при тяжелом поражении.
Меры борьбы. Выращивайте рододендроны и азалии на теневых участках. Используйте химические препараты, особенно в конце лета, чтобы предотвратить откладывание яиц взрослыми особями.




































